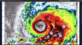
Hurricane Melissa intensified to Category 5 strength Monday as it neared Jamaica with up to 30 inches (76 centimeters) of rain and a life-threatening storm surge.
(YouTube & Hurricane Melissa is now a rare Category 5 storm as it closes in on Jamaica)
Melissa is forecast to make landfall on the island Tuesday and cross Cuba and the Bahamas through Wednesday.
Melissa was centered about 130 miles (205 kilometers) south-southwest of Kingston, Jamaica, and about 315 miles (505 kilometers) south-southwest of Guantánamo, Cuba, the U.S. National Hurricane Center in Miami said.

The hurricane had maximum sustained winds of 160 mph (260 kph) and was moving west at 3 mph (6 kph), the center said.

Category 5 is the highest on the Saffir-Simpson scale with sustained winds exceeding 157 mph (250 kph). Melissa is the strongest hurricane in recent history to directly hit the small Caribbean nation.
Some local areas of eastern Jamaica could get 40 inches (1 meter) of rain while western Haiti could get 16 inches (40 centimeters), according to hurricane center. “Catastrophic flash flooding and numerous landslides are likely,” it warned.
KINGSTON, Jamaica (AP) — Hurricane Melissa intensified to Cate
apple.news